KRDM/Roberts Field General Airport Information

KRDM - Roberts Field

Located in Redmond, OR, USA

ICAO - KRDM, IATA - RDM, FAA ID - RDM

Airport Type 
Civil 
Lat/Long 
N44-15.2/W121-09.0 
Elevation (ft) 
3082 
Fuel Available 
AVGAS JET 
Current UTC 
9:50:16 AM (-8.00) 
Approaches 
ILS LOC GPS 
Longest Primary Runway (ft) 
7038 x 150, 05/23 
Runway Surface 
Asphalt/Grooved 
PCN 
Local Standard Time 
2:50:16 AM 
More Airport Information (Click to expand)
Airport Light Intensity
HIGH
Airport of Entry
No
Airport of Entry Remarks
Fire Category
B
Fire Category Remarks
Customs
No
US Customs Pre-Clearance
No
Slots Required
No
Handling Mandatory
No
Airport Email
Airport Website
Airport Manager Phone
Airport Ownership
Facility Use
DST
2nd Sun in Mar 0200L to 1st Sun in Nov 0200L
Sunrise
06:42 AM
Sunset
07:34 PM
Open 24 Hours
No
Airport Hours
0530L-SS
Control Tower Hours
0500-1900L
Variation
14E
Distance from City
1 MILE SE OF CITY
Tower Frequency
ATIS Frequency
Unicom Frequency
CTAF Frequency
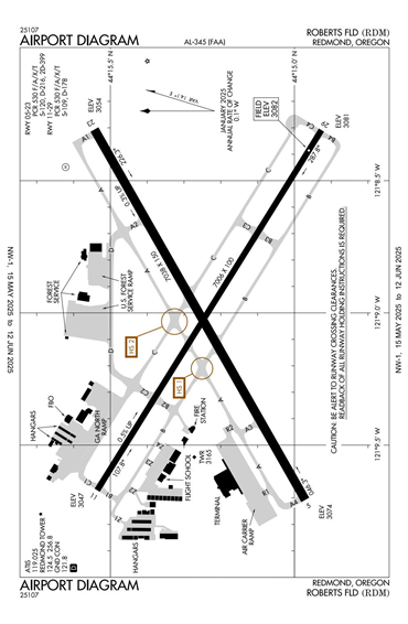
FAA Diagram FAA Diagram
Google Satellite Map of KRDM
Airport Distance Calculator
From:
To:

The distance from to is

Nautical Miles
Airport Restrictions and Information
Airport Information
Frequency
Phone / Fax
Email / Website
ASOS
119.025
Phone
+1 541 504 8743
TOWER
Phone
+1 541 548 2574
Fax
+1 541 504 0419
ASOS
Phone
+1 541 504 8743
TOWER
Phone
+1 541 548 2574
Fax
+1 541 504 0419

FBOs

FBO Name
Fuel Info
Address
Phone
Tel After Hours
Fax
Email
Website
Frequency
122.85

Fuel Info

Brand TITAN
Prices Not Updated Last 90 DAYS
Prices Not Updated Last 90 DAYS
Hotels
Name and Contact Info
Address
Distance
Price range
Comfort Suites Redmond
Phone
Fax
Website
Address
Distance
10 Min
Price range
$140
Holiday Inn Express Bend
Phone
Fax
Website
Address
Distance
10 Min
Price range
$110-160
Sleep Inn Redmond
Phone
Fax
Website
Address
Distance
10 Min
Price range
$115-130
The Inn at Eagle Crest Holiday Inn
Phone
Fax
Website
Address
Distance
15 Min
Price range
$145-150