KPIE/St Petersburg Clearwater International General Airport Information

KPIE - St Petersburg Clearwater International

Located in St Petersburg, FL, USA

ICAO - KPIE, IATA - PIE, FAA ID - PIE

Airport Type 
Civil 
Lat/Long 
N27-54.5/W082-41.2 
Elevation (ft) 
11 
Fuel Available 
AVGAS JET 
Current UTC 
12:05:27 PM (-5.00) 
Approaches 
ILS GPS VOR 
Longest Primary Runway (ft) 
9730 x 150, 18/36 
Runway Surface 
Asphalt/Grooved 
PCN 
Local Standard Time 
8:05:27 AM 
More Airport Information (Click to expand)
Airport Light Intensity
HIGH
Airport of Entry
No
Airport of Entry Remarks
Fire Category
C
Fire Category Remarks
Customs
Yes
US Customs Pre-Clearance
Yes
Slots Required
No
Handling Mandatory
No
Airport Email
Airport Website
Airport Manager Phone
Airport Ownership
Facility Use
DST
2nd Sun in Mar 0200L to 1st Sun in Nov 0200L
Sunrise
07:17 AM
Sunset
07:50 PM
Open 24 Hours
Restricted
Airport Hours
H24
Control Tower Hours
0600-2300L
Variation
05W
Distance from City
8 MILES N OF CITY
Tower Frequency
ATIS Frequency
Unicom Frequency
CTAF Frequency
Airport General Remarks
Customs Information
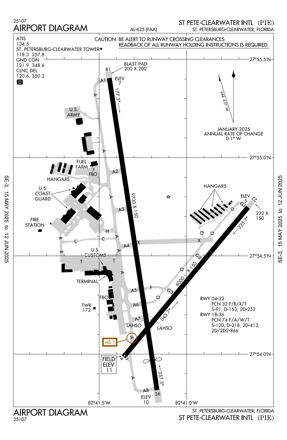
Runway Diagram
FAA Diagram FAA Diagram
Google Satellite Map of KPIE
Airport Distance Calculator
From:
To:

The distance from to is

Nautical Miles
Airport Restrictions and Information
Airport Information
Frequency
Phone / Fax
Email / Website
CUSTOMS LRA PPR - 24 HRS PNR
Phone
+1 727 453 7080
Fax
+1 727 538 0693
ASOS
116.4
Phone
+1 727 531 3456
TOWER
Phone
+1 727 539 6867
Fax
+1 727 536 2793
CUSTOMS LRA PPR - 24 HRS PNR
Phone
+1 727 453 7080
Fax
+1 727 538 0693
Website
ASOS
Phone
+1 727 531 3456
TOWER
Phone
+1 727 539 6867
Fax
+1 727 536 2793

FBOs

FBO Name
Fuel Info
Address
15875 Fairchild Dr,
Clearwater, FL 33762
Phone
+1 727 530 3453
Fax
+1 727 535 4372
Email
Website
Frequency
131.975

Fuel Info

Brand AVFUEL
Prices Not Updated Last 90 DAYS
Prices Not Updated Last 90 DAYS
Address
Phone
Fax
Email
Website
Frequency
130.375
Remarks

Fuel Info

Brand INDEPENDENT
Caterers
Hotels
Name and Contact Info
Address
Distance
Price range
Hampton Inn Clearwater
Phone
Fax
Website
Address
Distance
5 Min
Price range
$85-150
Hilton Carillon Park
Phone
Fax
Website
Address
Distance
5 Min
Price range
$210-255
Holiday Inn St Petersburg
Phone
Fax
Website
Address
Distance
5 Min
Price range
$125-140
Marriott Courtyard
Phone
Fax
Website
Address
Distance
5 Min
Price range
$110-180