KOGD/Ogden/Hinckley General Airport Information

KOGD - Ogden/Hinckley

Located in Ogden, UT, USA

ICAO - KOGD, IATA - OGD, FAA ID - OGD

Airport Type 
Civil 
Lat/Long 
N41-11.7/W112-00.7 
Elevation (ft) 
4472 
Fuel Available 
AVGAS JET 
Current UTC 
9:38:59 AM (-7.00) 
Approaches 
ILS LOC GPS 
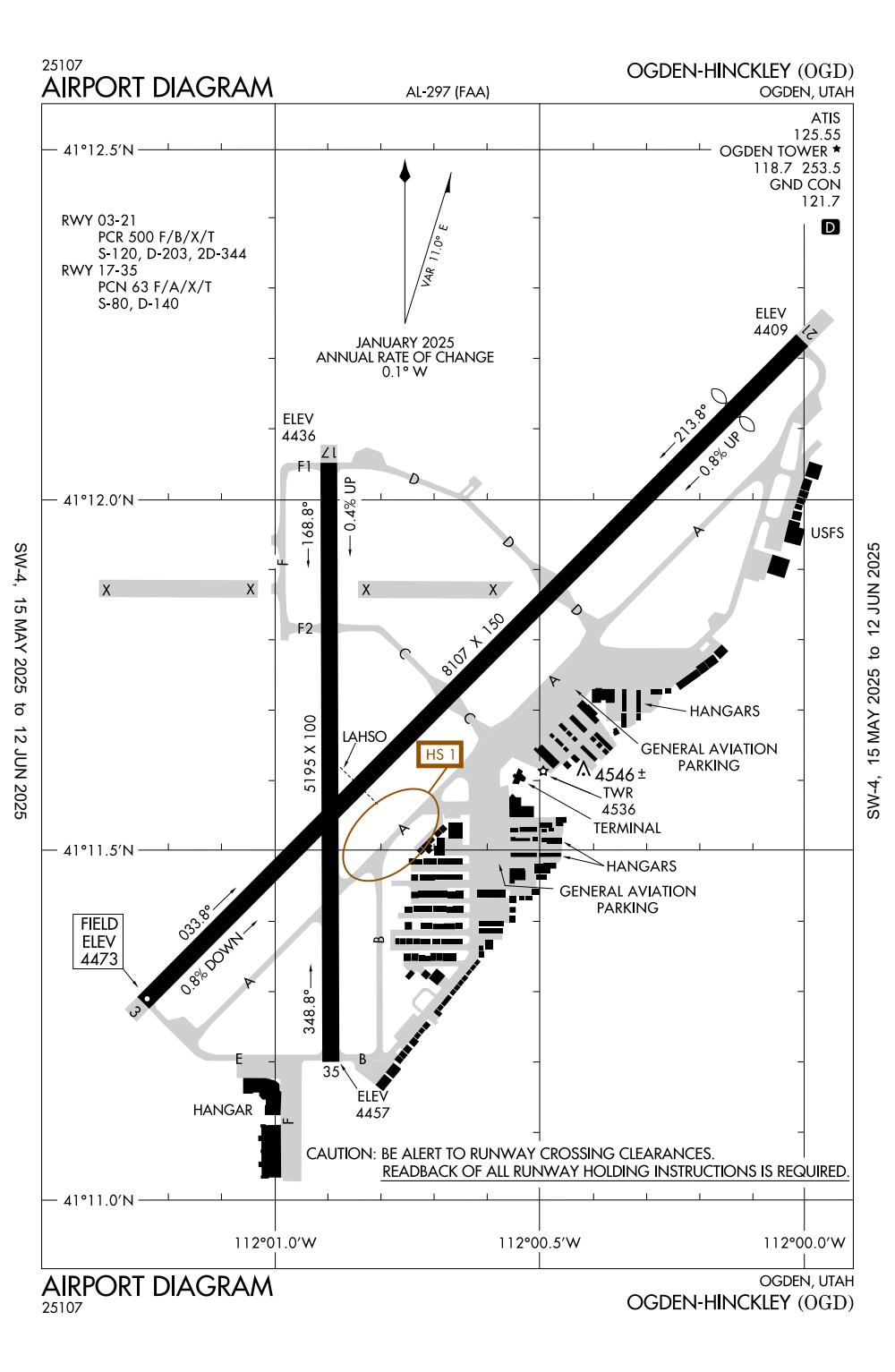
Longest Primary Runway (ft) 
8107 x 150, 03/21 
Runway Surface 
Asphalt/Grooved 
Local Standard Time 
3:38:59 AM 
More Airport Information (Click to expand)
Airport Light Intensity
HIGH
Airport of Entry
No
Airport of Entry Remarks
Fire Category
B
Fire Category Remarks
Customs
No
US Customs Pre-Clearance
No
Slots Required
No
Handling Mandatory
No
Airport Email
Airport Website
Airport Manager Phone
Airport Ownership
Facility Use
DST
2nd Sun in Mar 0200L to 1st Sun in Nov 0200L
Sunrise
07:06 AM
Sunset
07:56 PM
Open 24 Hours
No
Airport Hours
H24
Control Tower Hours
0700-2000L
Variation
11E
Distance from City
3 MILES SW OF CITY
Tower Frequency
ATIS Frequency
Unicom Frequency
CTAF Frequency
Runway Diagram
FAA Diagram FAA Diagram
Google Satellite Map of KOGD
Airport Distance Calculator
From:
To:

The distance from to is

Nautical Miles
Airport Restrictions and Information
Airport Information
Frequency
Phone / Fax
Email / Website
ASOS
125.55
Phone
+1 801 622 5600
TOWER
Phone
+1 801 625 5569
Fax
+1 801 394 5685
ASOS
Phone
+1 801 622 5600
TOWER
Phone
+1 801 625 5569
Fax
+1 801 394 5685

FBOs

FBO Name
Fuel Info
Address
Phone
Fax
Email
Website
Frequency
122.95

Fuel Info

Brand AVFUEL
Hotels
Name and Contact Info
Address
Distance
Price range
Holiday Inn Express Ogden
Phone
Fax
Website
Address
Distance
5 Min
Price range
$85-115
Courtyard Ogden
Phone
Website
Address
Distance
10 Min
Price range
$140-160
Hampton Inn & Suites
Phone
Website
Address
Distance
10 Min
Price range
$100-140