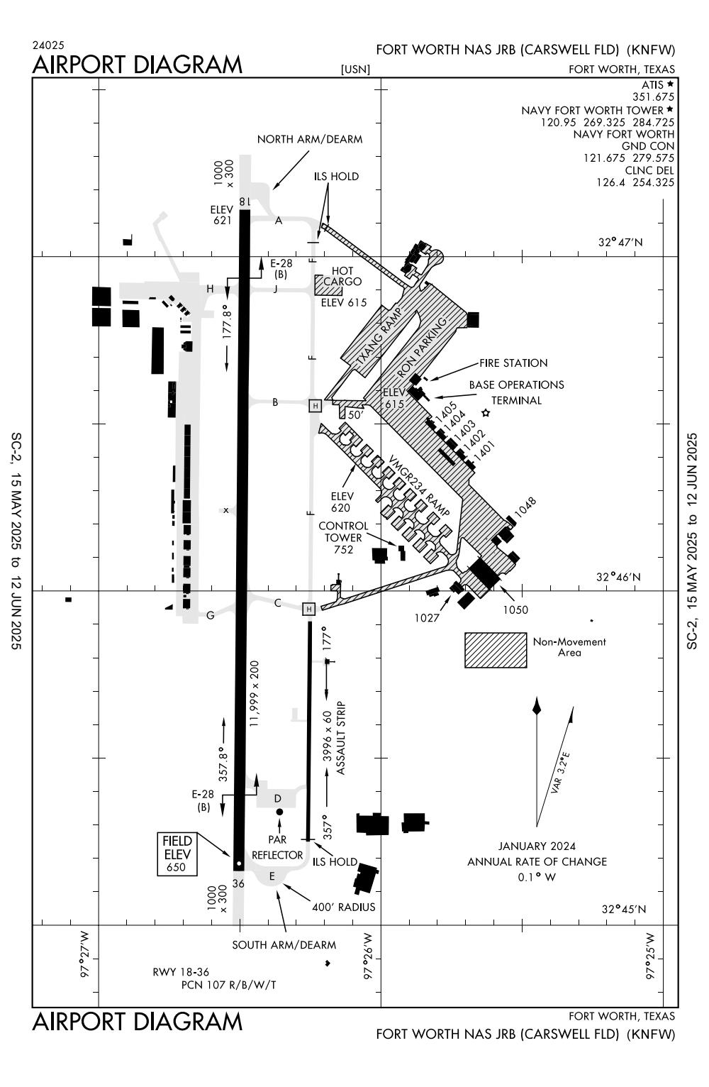
KNFW/Fort Worth NAS JRB (Carswell Field) General Airport Information

KNFW - Fort Worth NAS JRB (Carswell Field)

Located in Fort Worth, TX, USA

ICAO - KNFW, IATA - FWH, FAA ID - NFW

Airport Type 
Military 
Lat/Long 
N32-46.2/W097-26.5 
Elevation (ft) 
650 
Fuel Available 
NO FUEL 
Current UTC 
4:43:01 PM (-6.00) 
Approaches 
VFR 
Longest Primary Runway (ft) 
11999 x 200, 18/36 
Runway Surface 
Concrete 
PCN 
Local Standard Time 
11:43:01 AM 
More Airport Information (Click to expand)
Airport Light Intensity
HIGH
Airport of Entry
No
Customs
No
US Customs Pre-Clearance
No
Slots Required
No
Handling Mandatory
No
Airport Ownership
Facility Use
DST
2nd Sun in Mar 0200L to 1st Sun in Nov 0200L
Sunrise
07:13 AM
Sunset
07:52 PM
Variation
04E
Distance from City
5 MILES W OF CITY
FAA Diagram FAA Diagram
Google Satellite Map of KNFW
Airport Distance Calculator
From:
To:

The distance from to is

Nautical Miles