KEUG/Mahlon Sweet Field General Airport Information

KEUG - Mahlon Sweet Field

Located in Eugene, OR, USA

ICAO - KEUG, IATA - EUG, FAA ID - EUG

Airport Type 
Civil 
Lat/Long 
N44-07.5/W123-12.7 
Elevation (ft) 
374 
Fuel Available 
AVGAS JET 
Current UTC 
9:52:25 AM (-8.00) 
Approaches 
ILS LOC GPS 
Longest Primary Runway (ft) 
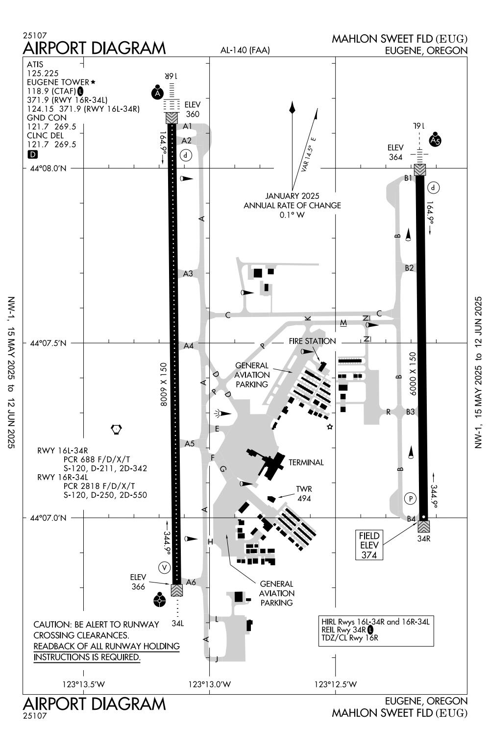
8009 x 150, 16R/34L 
Runway Surface 
Asphalt/Grooved 
PCN 
Local Standard Time 
2:52:25 AM 
More Airport Information (Click to expand)
Airport Light Intensity
HIGH
Airport of Entry
No
Airport of Entry Remarks
Fire Category
B
Fire Category Remarks
Customs
No
US Customs Pre-Clearance
No
Slots Required
No
Handling Mandatory
No
Airport Email
Airport Website
Airport Manager Phone
Airport Ownership
Facility Use
DST
2nd Sun in Mar 0200L to 1st Sun in Nov 0200L
Sunrise
06:50 AM
Sunset
07:42 PM
Open 24 Hours
Yes
Airport Hours
H24
Control Tower Hours
H24
Variation
15E
Distance from City
7 MILES NW OF CITY
Tower Frequency
ATIS Frequency
Unicom Frequency
CTAF Frequency
Runway Diagram
FAA Diagram FAA Diagram
Google Satellite Map of KEUG
Airport Distance Calculator
From:
To:

The distance from to is

Nautical Miles
Airport Restrictions and Information
Airport Information
Frequency
Phone / Fax
Email / Website
ASOS
Phone
+1 541 461 3114
TOWER
Phone
+1 541 607 4600
Fax
+1 541 461 5373
ASOS
Phone
+1 541 461 3114
TOWER
Phone
+1 541 607 4600
Fax
+1 541 461 5373

FBOs

FBO Name
Fuel Info
Address
Phone
Toll Free Phone
Tel After Hours
Email
Website
Frequency
122.95

Fuel Info

Brand INDEPENDENT
Address
Phone
Tel After Hours
Fax
Email
Website
Frequency
122.95
Remarks

Fuel Info

Maintenance
Hotels
Name and Contact Info
Address
Distance
Price range
Hilton Eugene
Phone
Fax
Website
Address
Distance
15 Min
Price range
$125-165
Holiday Inn Springfield
Phone
Fax
Website
Address
Distance
15 Min
Price range
$125-170
Holiday Inn Exp Downtown Uni
Phone
Fax
Website
Address
Distance
20 Min
Price range
$130-165
Marriott Courtyard Springfield
Phone
Fax
Website
Address
Distance
20 Min
Price range
$120-200
Valley River Inn Eugene
Phone
Fax
Website
Address
Distance
40 Min
Price range
$95-105