KABQ/Albuquerque/Sunport International General Airport Information

KABQ - Albuquerque/Sunport International

Located in Albuquerque, NM, USA

ICAO - KABQ, IATA - ABQ, FAA ID - ABQ

Airport Type 
Joint Civil / Military 
Lat/Long 
N35-02.3/W106-36.5 
Elevation (ft) 
5355 
Fuel Available 
AVGAS JET 
Current UTC 
10:02:46 AM (-7.00) 
Approaches 
ILS LOC GPS 
Longest Primary Runway (ft) 
13793 x 150, 08/26 
Runway Surface 
Concrete/Grooved 
PCN 
Local Standard Time 
4:02:46 AM 
More Airport Information (Click to expand)
Airport Light Intensity
HIGH
Airport of Entry
No
Airport of Entry Remarks
Fire Category
C
Fire Category Remarks
Customs
Yes
US Customs Pre-Clearance
Yes
Slots Required
No
Handling Mandatory
No
Airport Email
Airport Website
Airport Manager Phone
Airport Ownership
Facility Use
DST
2nd Sun in Mar 0200L to 1st Sun in Nov 0200L
Sunrise
06:48 AM
Sunset
07:30 PM
Open 24 Hours
Restricted
Airport Hours
H24
Control Tower Hours
H24
Variation
11E
Distance from City
3 MILES SE OF CITY
Tower Frequency
ATIS Frequency
Unicom Frequency
Airport General Remarks
Customs Information
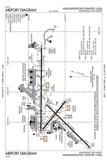
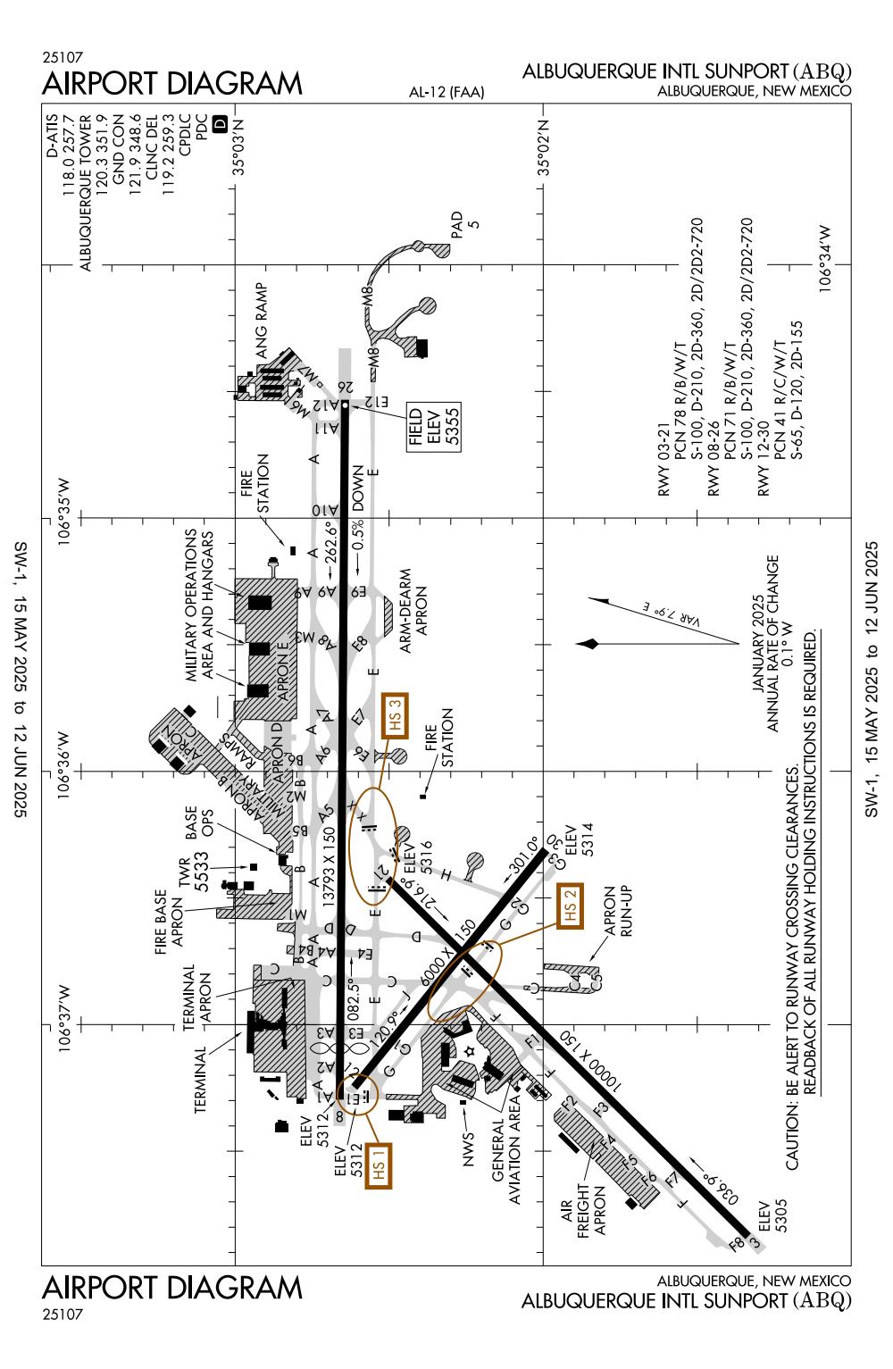
Runway Diagram
FAA Diagram FAA Diagram
Google Satellite Map of KABQ
Airport Distance Calculator
From:
To:

The distance from to is

Nautical Miles
Airport Restrictions and Information
Airport Information
Frequency
Phone / Fax
Email / Website
CUSTOMS LRA PPR - MIN 24 HRS PN
Phone
+1 505 242 6475
Fax
+1 505 346 6995
ASOS
Phone
+1 505 242 4044
ATIS
118.0
Phone
+1 505 856 4928
TOWER
Phone
+1 505 856 4903
Fax
+1 505 856 4914
CUSTOMS LRA PPR - MIN 24 HRS PN
Phone
+1 505 242 6475
Fax
+1 505 346 6995
Email
Website
ASOS
Phone
+1 505 242 4044
ATIS
Phone
+1 505 856 4928
TOWER
Phone
+1 505 856 4903
Fax
+1 505 856 4914

FBOs

FBO Name
Fuel Info
Address
Phone
Toll Free Phone
Fax
Email
Website
Frequency
130.675

Fuel Info

Brand INDEPENDENT
Address
Phone
Toll Free Phone
Fax
Email
Website
Frequency
128.875
Remarks

Fuel Info

Brand PHILLIPS 66
 
Self
Full
Price/Gallon
Last Updated: 03 Feb 2026
Last Updated: 03 Feb 2026
Fuel Only
Phone
Email
Website
Phone
Email
Website
Hotels
Name and Contact Info
Address
Distance
Price range
Courtyard Albuquerque Arpt
Phone
Fax
Website
Address
Distance
On Airport
Price range
$130-165
Holiday Inn Albuquerque Arpt
Phone
Fax
Website
Address
Distance
On Airport
Price range
$100-145
Ramada Albuquerque Arpt
Phone
Fax
Website
Address
Distance
On Airport
Price range
$60+
Sheraton Albuquerque Arpt
Phone
Fax
Website
Address
Distance
On Airport
Price range
$110-170
Hilton Garden Inn Albuquerque Arpt
Phone
Fax
Website
Address
Distance
5 Min
Price range
$90
Homewood Suites
Phone
Fax
Website
Address
Distance
5 Min
Price range
$94
Hyatt Place Albuquerque Arpt
Phone
Fax
Website
Address
Distance
5 Min
Price range
$100+
Crowne Plaza Albuquerque
Phone
Fax
Website
Address
Distance
10 Min
Price range
$135-170
Doubletree Albuquerque
Phone
Fax
Website
Address
Distance
10 Min
Price range
$123-163
Hyatt Regency Albuquerque
Phone
Fax
Website
Address
Distance
10 Min
Price range
$180-205
Sheraton Albuquerque Uptown
Phone
Fax
Website
Address
Distance
10 Min
Price range
$145-195
Car Rental
Phone
Fax
Website
Phone
Fax
Website
Phone
Toll Free
Website
Phone
Website
Phone
Website
Phone
Website
Phone
Fax
Website
Phone
Fax
Website
Phone
Website
Phone
Website
Phone
Website